土地 奈良市西木辻町(土地1号地) 2,180万円
JR桜井線 京終駅 徒歩12分
2026年1月13日現在
新価格2,180万円
物件概要
-
・済美小学校まで徒歩7分・春日中学校まで徒歩9分・開発造成地内・建築条件なし
- 物件番号
- 824705
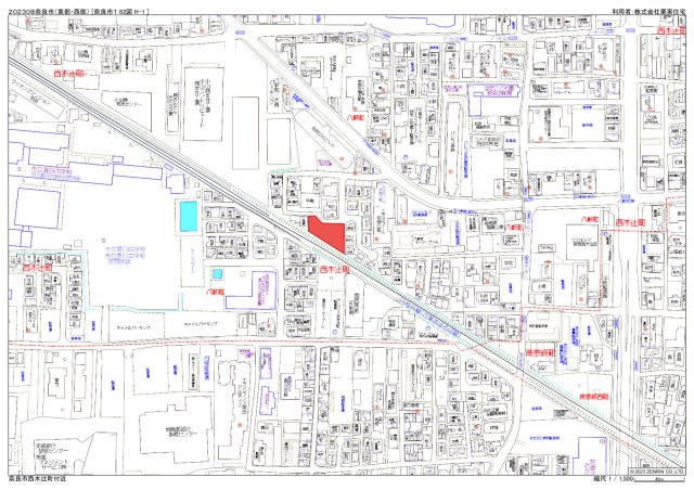
- 所在地
- 奈良県奈良市西木辻町
- 交通
- JR桜井線 京終駅 徒歩12分
- 価格
- 2,180万円
- 土地面積
- 153.45㎡(公簿)
- 区域区分
- 市街化区域
- 用途地域
- 第一種住居
- 建ぺい率
- 60%
- 容積率
- 160%
- 設備その他
- ー
- 周辺環境
- 奈良市立 済美小学校 510m / 奈良市立 春日中学校 654m / コンビニ 1,251m / スーパー 1,140m / 総合病院 1,251m
- 備考
- 前面道路は奈良市所有(位置指定道路)です
株式会社栗実住宅
- TEL
- 0120-1504-09
- 営業時間
- 9:00~17:00
- 定休日
- 毎週水曜日・日曜日
- 免許
- 宅地建物取引業 奈良県知事(9)第2519号






























